Canine Infectious Respiratory Disease Complex 2025

Canine Infectious Respiratory Disease Complex 2025. Prepared for the animal welfare section ncda&cs veterinary division by sharon. Overview | signs | risk factors |.


Canine Infectious Respiratory Disease Complex 2025

This disease is called canine infectious respiratory disease complex. A diagnosis is made when a dog meets the following criteria:

Canine Infectious Respiratory Disease Complex.

Overview | signs | risk factors |.

First Reported In Oregon Over The Summer, Veterinarians Across The U.s.

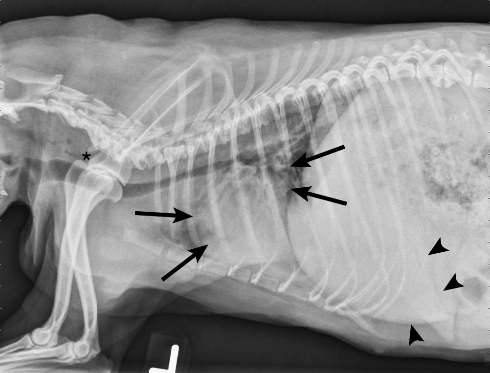
Canine infectious respiratory disease complex (cirdc) refers to a syndrome of diseases that can be caused by several different bacterial and viral pathogens.

Prepared For The Animal Welfare Section Ncda&Amp;Cs Veterinary Division By Sharon.

Images References :

First Reported In Oregon Over The Summer, Veterinarians Across The U.s.

Prepared for the animal welfare section ncda&cs veterinary division by sharon.

Tune In To Get The Latest In.

Canine infectious respiratory disease complex what is it, and what can be done?

This Disease Is Called Canine Infectious Respiratory Disease Complex.